1/18

2025産・日本ムラサキの種 Msp (並) 100粒 +α 入り

¥1,700 税込

なら 手数料無料の 翌月払いでOK

別途送料がかかります。送料を確認する

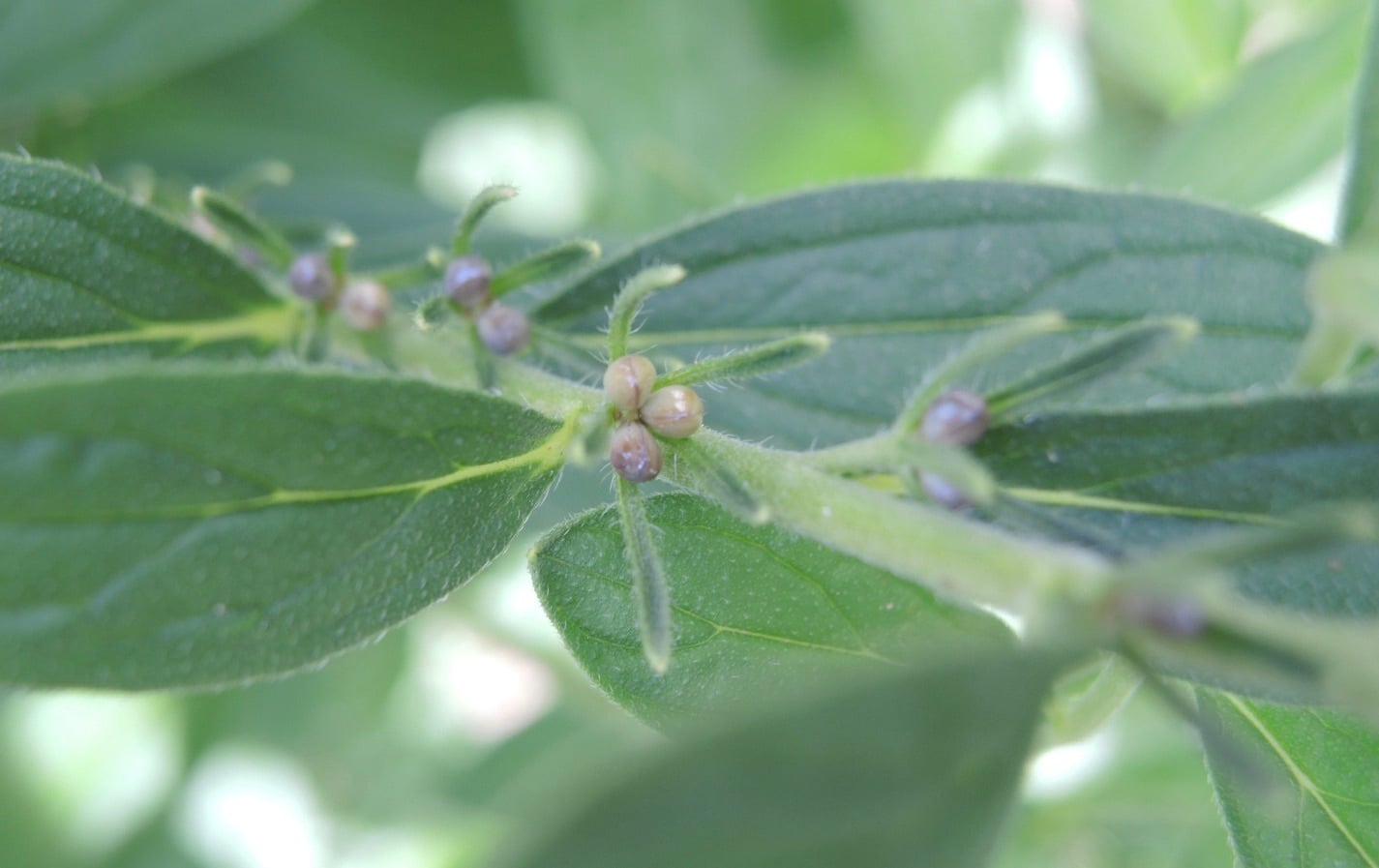
商品説明:2025産・日本ムラサキの種子Msp(並) 1袋(100粒+α入り) 径(2.0~2.4mm)のサイズの種子です。
日本古来の紫草の種子です。紫根は硬紫根で、染料・コスメ原料となります。
Msp(並) は(大)の種子より一回り小さいサイズとなります。
発芽する双葉は若干小さめとなります。

最後の日本ムラサキ栽培中。同時に「日本ムラサキ」最後の種子販売です。
今年は、例年に無く高温の日々が続き開花も早く、多くの種子が実を付けています。
多くの種子を付けた分枝には、白化現象のする種も見え始め、分枝の切り取りを始めています。
分枝から種を落とす作業は、1〜3粒毎固い音を響かせバット(vat) 内に集まります。長い1分枝には50粒を超える種子が付き、種子1〜4粒の萼を指先で押さえてバット内に落とします。
良き種子を求めて、日々種の選別作業に明け暮れている日々です。
今月8月中には種子の採取が一段落となるのではと見ています。種子の選別を経て販売開始は
9月中旬以降となる見込めです。冬を前に発芽させ、翌年晩秋までの12ヶ月の生育結果は期待大です。
春先に播種をして、晩秋に収穫の紫根とは大きな差があります。

栽培サイクルを見直す良い機会かも知れません。種は秋 中旬以降以降に苗床に播種をします。
霜柱が出る寒冷地では苗は、抜けてしまいますので越冬対策として、藁束等で苗床を覆います。温暖地域では、発芽した苗は冬場 地上部は枯れますが、春先に双葉とは異なる新芽が出て生育し、定植苗となります。発芽しなかった種も地を割って発芽して来ます。

従来一般的な栽培サイクルは、春先に播種、晩秋には紫根収穫の様です。この方法ですと紫根の生育期間は約半年で収穫となります。(収穫せずに、冬を越して翌年春に新芽が元気に複数出て来ますが、昨年の紫根は生育せず梅雨時には傷み始めます。2回の梅雨を越える事は無理です。2年目の新芽は1年目の紫根の養分によって出て来ますので紫根が更に大きく生育する事は無く、わずかな新しい紫根が確認出来るに留まります。各地の気象条件に応じた栽培方法を見出して欲しいものです。

発芽は播種後おおよそ2週間前後に始まります。発芽が進み、本葉が4枚以上出揃ったら、定植の時期となります。
寒冷地では、11月頃に雪が降る前に畑の苗床に播種すると良いでしょう。発芽処理は必要なく、雪解け後の3〜4月に発芽を期待できます。(早く発芽をさせる為には水漬け1週間が必要)
日本ムラサキの栽培を通じて、変化のある生育の過程を楽しんでみませんか!
発芽方法についての、説明書を同封しますので参考にしてください。


尚、下記ブログが参考になれば幸いです。2025.11 まで
https://yosida-nagano.muragon.com

商品をアプリでお気に入り
  • 送料・配送方法について

  • お支払い方法について

¥1,700 税込

最近チェックした商品
    その他の商品